ANIIOKI A8 Pro Max Electric All Terrain Fat Bike

WELCOME TO THE ANIIOKI EBIKES FAMILY
Thank you for purchasing ANIIOKI eBike.
Please read this owner’s manual carefully before setting up your ANIIOKI bike and riding. You should be thoroughly familiar with the proper operation of your electric bike, its features, capabilities and limitations. To ensure a long, trouble-free life for your electric bike, please take proper care and maintenance of it as described in this manual. Of course, it is unrealistic and impossible to warn you of all the dangers associated with operating or maintaining an electric bike. You must use your own good judgment for this. This manual should be considered a permanent part of your bike and should be kept with the bike when it is sold. If you need any assistance, please do not hesitate to contact us.
CONTACT INFORMATION
- ANIIOKI Ebike Website: www.aniioki.com
- Website Service Mail: [email protected]
- Amazon Service Mail: [email protected]
- Facebook Group: Aniioki Ebike Club
- Phone: (909)296-9922
NOTE: ANIIOKI ebike now has multiple sales channels, please choose the correct channel to contact us, preferably email. Please send your order date and order ID so that we can deal with your issue more efficiently. Please feel free to call us if necessary.
A SHIPPING DAMAGE CLAIMS
In order to protect your rights and interests, please immediately inspect your product(s) for damage after receiving. Shipping damage must be reported to ANIIOKI after-sale service within 48 HOURS of shipment arrival, and please be sure to provide relevant photos. We will not accept Shipping Damage claims later than 48 HOURS from receipt of products, thank you for your understanding.
TAKE DOWN YOUR SERIAL NUMBER
Take Down Your Serial Numbers Here!
- Bike frame serial number: …………………….
- Motor serial number: …………………………..
- Display serial number: …………………………
Where can I find the serial number?
- The serial number of the bike frame below the bottom bracket, aligned parallel to the frame.
- The motor serial number is located on the face of the motor.
- The display serial number is printed on the bottom of the display.
NOTE: Be sure to write down your serial number. You may be asked for your bike’s serial number as : part of warranty requests. If the bike is ever stolen, it may be possible to provide local police with the bike serial number to help track it down.
Where can I find the serial number of my e-bike?

- Each bike has a unique code as a way of identifying a single bike from bikes of the same model. With this number, we can manage the warranty of the bike in case of problems, identify the exact model and its year of manufacture, or in the worst case, file a complaint in case of theft, etc.
- The serial number of the bike frame below the bottom bracket.

- The motor serial number is located on the face of the motor.

- The display serial number is printed on the back of the display.
IMPORTANCE
Before using your ANIIOKI A8 Pro Max, please read this owner’s manual carefully to become thoroughly familiar with the proper operation of your bike’s controls, its features, functions and limitations. This manual contains safe riding tips, but does not cover any techniques and skills needed to safely ride an electric bike. This user manual includes assembly and maintenance work that may be required frequently to maintain the operation and safety of the ANIIOKI A8 Pro Max. NEVER perform any operation on the ANIIOKI A8 Pro Max other than as described in this manual. This manual is not intended to be a comprehensive use, service, repair or maintenance manual. Do not ride your ANIIOKI A8 Pro Max if it is not assembled properly. Maintenance beyond what is indicated in the owner’s manual should be performed by an e-bike expert or professional bicycle mechanic. Riding a bike that is not assembled properly will endanger yourself and others.
DISCLAIMER: ANIIOKI electric bikes are only for use by persons 18 years of age and above.
NOTES
- It is recommended to retain the original packaging for a short period of time and keep it as intact as possible. For warranty and returns, you are responsible for providing a new box at your expense if you have discarded the original box in which the product was shipped. PLEASE RETAIN YOUR BIKE BOX even if it has been damaged in shipping.
- Riding a bicycle is an inherently dangerous activity, and it is your responsibility to ride safely and within your abilities. Proper assembly is vital to the safe operation of your bicycle, so seek professional assistance if you are unable to complete the assembly of your bicycle as outlined in this manual.
- Do not modify, remove or replace the original electrical components on the bicycle. Doing so may puts you at risk. Riding any type of bicycle involves some risks that cannot be predicted or avoided. Proper maintenance of bicycle components can reduce the risk of sudden component failure, but it cannot prevent it. These sudden failures can cause serious injury or death to the rider, if you notice any part on your bicycle that appears to be abnormal, take it to a licensed mechanic immediately for repair or replacement. ANIIOKI is not responsible for injury, or death of riders.
PLEASE NOTE
- This manual is not intended as a detailed user, service, repair or maintenance manual. Please seek assistance from a qualified technician for service, repair or maintenance.
COMPLIANCE WITH THE LAW
Read This First: Safety and Compliance with the Law
- Congratulations on your purchasing of your new e-bike. Your new e-bike is an excellent piece of personal transportation equipment that will give you good service for many years.
- Before you start using your e-bike, it is recommended to be aware of a few important points. Please read this section carefully.
Observe Laws Regarding the Use of Battery-Operated Bicycles
Your e-bike is designed and manufactured to meet safety requirements as a battery-operated bicycle. However, state and local laws governing the use of battery-operated bicycles on public roadways, parks, and other open areas may differ. Please check with your local authority before using your e-bike in public areas.
Observe Laws Regarding the Use of Bicycles
- Note that all laws regarding the use of bicycles in public areas, such as those mandating the use of helmets and the use of infant seats, will automatically apply for e-bikes. Check with your local authority on what restrictions might apply.
The Lithium-ion Battery of Your e-Bike
- Your e-bike is equipped with the latest battery technology. The lithium-ion battery is much lighter than lead-or nickel-based batteries that are being used in some older models.
Your First Ride
Please be VERY CAREFUL when you are ready to get on your e-bike for the first time because that the e-bike moves significantly faster than a regular bicycle at power-assist mode. Take your e-bike to an area with a lot of open space before you start. Do not start pedaling hard as soon as you get on the e-bike (as you normally would so with a regular bicycle), as the e-bike will accelerate under pedal-assist mode and you may be unprepared for the sudden increase in speed. However, after a few times, you will enjoy using the pedal-assist function.
GET TO KNOW YOUR AS PRO MAX
- Please follow these instructions to assemble your e-bike under the guidance of an adult or a qualified technician.
- Assembly is not difficult as most of the parts are already assembled.
Name Of Each Part

UNBOXING
Preparation Checklist
- Bike Frame
- Rear Cushion
- Fenders
- Battery (Pre-installed)
- Battery Charger
- Keys for Battery x 2
- Keys for Display x 2
- Set of Pedals x 1
- Integrated Front & Tail Light
- Tool Kits
- User Manual
NOTE: Please carefully check the package contents, if any parts are missing or damaged, please contact ANIIOKI customer service immediately for assistance with providing your order ID#.
- It is recommended to retain the original packaging for a short period of time and keep it as intact as possible.
- For warranty and returns, you are responsible for providing a new box at your expense if you have discarded the original box in which the product was shipped. PLEASE RETAIN YOUR BIKE BOX even if it has been damaged in shipping .
WARNING: Cycling is an inherently dangerous activity and it is your responsibility to ride safely within your means. Proper assembly is essential to the safe operation of the bicycle, if you cannot complete the assembly of the bicycle according to the regulations in this manual, please seek professional help.
Before assembling your bike, it is recommended to remove the battery for the following reasons.
- Determine if the battery was damaged during shipping.
- Reduce the weight of the bike so that it is easier to maneuver the bike when assembled.
- Avoid battery damage during assembly.
How to remove the battery?

- Insert the key into the lock hole and turn it counterclockwise until it cannot be rotated.
- Remove the battery by lifting the battery handle.
How to install the battery?
- Align the battery into the bike frame and press it in.
- When you hear a slightly click sound, which means the installation is complete. It is recommended to lift the battery handle to confirm.
How to charge the battery?
- The battery can be mounted on the bike, or charged separately from the bike. Two keys are provided for unlocking and locking the battery.
- If the battery is charging on the bike, please remove the rubber charging port cap on the bike frame, then take the charger out of the box, attach the power cord, and plug the charger into a 120 volt wall outlet.

The LED light on the charger glows red when charging and green when charging is complete. When the LED light on the charger turns green, disconnect the charging cable and cover the charging terminal with a rubber cap. If a battery is installed on the e-bike, when the bike is turned on, the display panel will show the battery’s charge percentage.
NOTE
- It is dangerous to store batteries vertically, please do not do this.
- It is recommended that charge the battery for almost 7-8 hours on the first charge. Make sure to charge the battery until the light on the charger turns green, indicating the battery is fully charged. This will help condition the lithium-ion battery to perform at its best.
ASSEMBLY
- Please read the instructions completely before assembling to ensure proper operation of the A8 Pro Max. Failure to do so may result in serious personal injury or damage to the bike.
Installation of AS Pro Max including 5 steps

Step 1: Installing the handlebar

- Remove the top screw and the top cover, loosen the side screws but keep them inside.
- Take the handlebar, align and press it.
- Reinstall the previously removed cover and screw and tighten the side screws to secure the handlebar.
Step 2: Attach The Front Wheel And Adjusting The Front Brake

Make sure that the fork from the steering column is pointing forward. Remove the protective bar from the front fork, place the front wheel within the fork and the brake disc within the brake block, seat the axial stem properly within the receptacles at the tips of the fork, and tighten the nuts with the multi-wrench. Make sure that the front wheel moves freely and does not wobble from side to side. Reposition the wheel and re-tighten if necessary.

- Put the front fork into the front wheel
- Install washers and the bolts

- The side with brake rotor, the washer should be placed near the brake rotor.
- The side without the brake rotor, the washer should be placed near the bolt.
Test the brake by lifting the front of the e-bike and setting the wheel in motion (turn it) and apply the brake at the handlebar to stop it. If you could not set the wheel in free motion, or if you could not stop it by applying the brake, you need to re-adjust by increasing or decreasing the clearance.
Caution: Do not operate the e-bike until you are satisfied that both the front and rear brakes are operational.
Step 3: Front Fenders and Headlights
Both the headlight and the front fender are both secured by a single bolt, so the front fender should be installed with the headlight.

- Carefully position the front fork onto the front wheel, then use the Allen wrench to unscrew the wheel nuts and reinstall the headlight together with the front fender.
- Tighten the bolt and connect the headlight wire (if it is disconnected). Note the arrows on the wire connectors and make sure the arrows line up with each other to avoid damaging the internal circuitry.
- Remove the nuts and washers attached to the front fork to secure the front fender, put the fender iron in the correct position, and tighten the bolts with a Allen key.
Step 4: Installing the Seat

Step 5: Installing the Pedals

- Insert the seat post into the tube.
- Screw the bolts.
The pedals have a letter indicating which side of the bike they install onto. Pedals are marked “L” and “R”. The left side goes on the left Crank. The right side goes on the right Crank. Pedals are not designed equally. Please note the left pedal is reverse threaded. You’ll have to turn it counter clockwise to tighten it. This is so the pedal doesn’t unscrew itself while you’re pedaling. If you had threaded the pedals and the washers snugly onto the drive-side crank arm, please remember to remove the washers. At this point, your e-bike is a completely functional bicycle, although without any battery operated to function as yet. Check all tightening points to make sure. Take a short ride. Adjust the height of the handlebar, and the height and the tilt of the seat, if necessary, for maximum comfort.
OPERATING YOUR NEW E-BIKE
Powering Up Your eBike
- To turn on the electric system and controller, short press the®button twice on the smart key.
- To turn the system off, short press the
button on the smart key. - After the system shut down, short press the
button to turn on the eBike AntiTheft function, the lock will beep when the slight vibration is felt. - Then short press the
button, the eBike Anti-Theft function will be closed and the alert dismissed.
Your First Ride
You’ll quickly get the feel for your bike and its electric system. For your first ride, it is recommended following these steps:
- To turn on the electric system and controller, short press the
button twice on the smart key. - If the bike is not showing mode 0, press the – button until it does (the electric mode is disabled).
- Start off, riding the bike with pedal power.
- When you’re steady and stable, press the + button to set mode 1, enabling the electric assist.
- Being ready for the bike’s assist to come in, begin to pedal (after a pedal rotation or two, you will feel the assist come in).
- When you’re ready for the bike to move under electric power only, press the throttle slowly until the bike powers forward.
- Brake to a stop when you’re ready.
After your initial ride, you can experiment with higher modes, using the + and – buttons to change them.
(Remember: mode 0 will turn off the electric drive. Setting mode 1 higher will turn it on again.)
Using the Pedal System
- The pedal system will be familiar to nearly everyone, but there are a few practical things that can help you make the best use of it.
- You can select the best gear for your riding situation using the two buttons on the right handle bar. (The best gear is the one that balances between having to push too hard and having to pedal so fast that you can’t really push very much at all.)
- The gears will only change when you’re pedaling forward, so be sure to do so when you’re changing gears.
- A low gear is best for starting to move again after stopping, so be sure to gear down and you’re slowing for stop. This will make starting up again much easier.
- Because your bike is a rear-hub drive model, the gears in the pedal drive system have no effect on the electric drive system.
- If you want to operate your bike a pedal-only mode, select Mode 0.
Using the Electric Drive System
- The electric drive system can either fully power the bike without your assistance, or can provide assistance when you’re pedaling.
Cruise Control
- You can engage the cruise control by holding the bike at a constant speed for 5 seconds. When engaged, the bike will hold a steady speed until the brake is applied or the mode is changed.
Pedal-Only
- In this mode, the A8 Pro Max will perform like a normal bike, as you’ll be riding without any assistance from the motor. This mode is especially useful if you run out of battery, or are looking for more intensive resistance training.
What the Display Shows

- The display shows speed, battery level, mode, trip information and so on.
Trip Information
- ODO: total distance the bike has traveled.
- MAXS: maximum speed since trip odometer reset.
- AVG: average speed since trip odometer reset.
- TRIP: showing distance from the last time it was reset.
Operating Modes

- Modes 1-5 set the relative power (speed) level. Mode® disengages electric drive.
- Electric power mode will be important when riding, as the modes determine the speed range for the bike at any particular time. ModeG) will drive the bike at a comfortably low speed, while mode® will power the bike up near the maximum available speed for electric assist.
- Change the mode to the desired level when riding using the Et> and 8 buttons on the handlebar control.
System Control

- The electric power system and display are controlled with the handlebar control.
- The + and – buttons set the electric power mode, and are also used in the setting panels.
- The
button will switch the headlight on or off. - The
button powers up or powers down the electric system. - The
button cycles through the modes in the multi-funcrion display.
- The
Display Interface

- After powering on, the display will display the Current Speed and Odometer by default. Short press the
button to switch between Trip Odometer, Maximum Speed, Average Speed and so on.
Walking Your Bike
- Sometimes it’s necessary or wise to walk your bike, rather than ride it. In this type of situation, parricularly where your bike needs to be walked uphill, the electric drive system can assist.
- When off your bike, press and hold the – button. The electric bike travels at a constant speed of 6 km/h. Simultaneously the display shows
. To stop the assist, release the – button. - The speed of the assist on level ground is approximately that of a brisk walk, so be prepared to walk quickly when using the walk mode on level ground.
CAUTION: Be careful not to enter walk mode without knowing it. This mode is accomplished by pressing and holding the – button on the display control panel, which will bring the motor to a walk speed.
Using headlight and taillight

- Short press the
to operate the bike’s headlight and part of the tailight. - For improved visibility, please make sure the headlight and tailight are switched on and adjusted so you can be clearly seen by others on the dim road.
NOTE: The battery must be inside the bike.
Accessing the Battery
NOTE: Remove the battery if the bike will be stored in freezing temperatures, which can severely damage the battery.
- We don’t have copy keys for sold bike. If the key is broken/lost, you need to swap out the new battery head.
- To ensure the longevity of the battery, follow these guidelines:
- Fully charge the battery after you’ve been riding.
- Don’t leave the battery on the charger once it’s been charged.
- Avoid keeping the battery in places where it will experience cold or hot temperatures.
DO NOT store the battery (or the battery in the bike) in high temperatures, or especially in freezing temperatures. Doing so can severely affect the capacity of the battery and may render it permanently inoperable.
Battery Level Display

- The Battery level is shown as 5 bars. When the battery is full charged, all of the 5 bars lighten up. When the battery is fully depleted, the bar will begin to flash, warning the user to charge the battery as soon as possible.
Error Code Display

- If there is a fault occurs in the electronic system of the electric bicycle, the display will automatically show an error code, see Schedule 1 for a detailed definition of the error code.
NOTE: When the error code appears on the display, please contact us for help, the electric bicycle will not be able to drive normally after the problem occurs.
CAUTION: The brands of parts advertised on our website may vary, depending on ongoing supply chain restrictions in the e-bike market. Component changes may occur without notice. All components are carefully inspected to ensure they meet the performance standards of the product advertised.
PERSONALIZED PARAMETER SETTING
Note
- Do not change the default parameters unless necessary, otherwise normal riding may not be guaranteed.
- The setting as P2,P4,P5,P7 is only applies to the eBike code table(Not fit for A8 Pro Max).
- All setting items need to be carried out when the bike is stationary.
The operation steps of personalized parameter setting are as follows:
- In the power-on and the meter displays a speed of O state.
- Press and hold the + and – button simultaneously for more than 2 seconds to enter the personalized parameter setting item selection interface.
- Short press the + or – button to switch the selection interface of personalized parameter setting items, and short press the CD button to enter the state of changing parameters.
- Short press + or – button to select parameters, long press
for continuous addition operation, and long presse for continuous subtraction operation. - Short press the
button to save the parameter setting and return to the personalized parameter setting item selection interface. - Long press the
button to save the parameter settings and exit the personalized parameter setting item selection interface.
P1. Metric and Imperial Unit Setting

- P1 is the setting option for the metric and imperial units, 00 represents the metric system, and 01 represents the imperial system.
- Operation: First, short press the
button to enter the state of changing parameters, and short press the + or – button to select the parameter. - Then, short press the
button to save the parameter setting and return to the personalized parameter setting item selection interface.
P2. Rated Voltage Setting

- P2 is the rated voltage setting option, the rated voltage range can be set as: 24V, 36V, 48V, 52V.
- Operation: First, short press the
CD button to enter the state of changing parameters, and short press the + or – button to select the parameter. - Then, short press the
button to save the parameter setting and return to the personalized parameter setting item selection interface.
NOTE: When the error code appears on the display, please contact us for help, the electric bicycle will not be able to drive normally after the problem occurs.
P3. PAS Level Setting

- P3 is the pedal assist (PAS) level setting option. The available pedal assist level settings including 0-3, 1-3, 0-5, 1-5, 1-7, 0-7, 0-9, 1-9.
- Operation: First, short press the
button to enter the state of changing parameters, and short press the + or – button to select the parameter. - Then, short press the
button to save the parameter setting and return to the personalized parameter setting item selection interface.
PAS Level Ratio Value Setting

- By setting the power ratio value, the speed of each gear can be adjusted to meet the needs of different riders.
- Please refer to Schedule 2 for details. Take gear 1 as an example, “45-55%” is the ratio range of gear 1, and “50%” is the default value of gear 1, which is a value that can be set.

- Operation: Firstly, short press the + or – button to change the parameter. Then short press the© button to confirm and enter the next gear parameter setting interface. After completing all gear parameter settings, short press the CD button again to save and return to the personalized setting item selection interface.
P4. Wheel Diameter Setting

- P4 is the wheel diameter setting option, there are two adjustable wheel diameter ranges of the display. KDS protocol: 8-SOinch. 55 protocol: 16, 18, 20, 22, 24, 26, 27, 28inch.
- Operation: First, short press the
button to enter the state of changing parameters, and short press the + or – button to select the parameter. - Then, short press the
button to save the parameter setting and return to the personalized parameter setting item selection interface.
P5. Speed Sensor Magnet Number Setting

- P5 is the setting option for the number of speed-measuring sensor magnets. The adjustable range of the number of speed-measuring magnets for the display is 1-15 pieces or 1-63 pieces. (The range is different for different protocols)
- Operation: First, short press the
button to enter the state of changing parameters, and short press the + or – button to select the parameter. - Then, short press the
button to save the parameter setting and return to the personalized parameter setting item selection interface.
P6. Speed Limit Setting

- P6 is the speed limit setting option, and the adjustable range of the instrument speed limit is: 1-63km/h or 1-41km/h. (The maximum adjustable speed limit of different protocols is different)
- Operation: First, short press the
button to enter the state of changing parameters, and short press the + or – button to select the parameter. - Then, short press the
button to save the parameter setting and return to the personalized parameter setting item selection interface.
P7. Controller Current Limit Setting

- P7 is the setting option of controller current limit, the adjustable range of instrument controller current limit is: 1-31.SA.
- Operation: First, short press the
button to enter the state of changing parameters, and short press the + or – button to select the parameter. - Then, short press the
button to save the parameter setting and return to the personalized parameter setting item selection interface.
P8. Assist Sensor Setting

- P8 is the setting option for the power assist sensor.
Power Sensor Direction Setting
- ‘run’ is the setting option for the direction of the power assist sensor. There are two options on the screen, run-F represents forward direction, and run-b represents reverse direction.
- Operation: First, short press the
button to enter the state of changing parameters, and short press the + or – button to select the parameter. - Then, short press the
button to save the parameter setting and enter the selection interface for the following power sensor sensitivity setting items.
Power Sensor Sensitivity Setting

- ‘Scn’ is the sensitivity setting option of the power assist sensor, and the setting range is 2-9, where 2 means the highest sensitivity and 9 means the lowest sensitivity.
- Operation: First, short press the + or – button to select the sensitivity of the power sensor.
- Then, short press the
button to confirm the parameter and enter the following setting option for the number of booster disc magnets. Otherwise, press and hold the
button to confirm and return to the general parameter setting item selection interface.
Number Of Booster Disk Magnets Setting

- ‘PAS’ is the setting option for the number of magnets of the booster disk, and the setting range is 5-31.
- Operation: First, short press the + or – button to select the corresponding number of booster magnets.
- Then, short press the
button to confirm the parameter and return to the personalized parameter setting item selection interface.
P9. Throttle Function Setting
- P9 is the throttle function setting option.
Walk boost setting

- ‘HL.’ is the walk boost setting option. HL-rn means no walk boost function, HL-y means that there is walk boost function and the bike enters the walk boost mode when long press the – button.
- Operation: First, short press the
button to enter the state of changing parameters, and short press the + or – button to select the parameter. - If HL-y is selected, short press the
button to confirm the parameter and return to the general parameter setting interface. - If HL-n is selected, short press the
button twice to confirm the parameter and go to the following throttle gear setting. Otherwise, long press the
button to confirm the parameter and return to the personalized parameter setting item selection interface.
Throttle gear setting

- HF-y is the throttle gear setting option. HF-n means no split throttle.
- If split throttle is selected, it means that when pressing the throttle, the maximum speed can only reach the speed corresponding to the PAS level shown on the LCD screen.
- If non-split throttle is selected, it means that when the throttle is pressed, the speed can be reached up to the maximum speed of this bike regardless of the PAS level shown on the display.
- Operation: Short press the + or – button to select the throttle gear state, then short press the
button to confirm the parameter and return to the personalized setting item selection interface.
Power-on Password Setting

PA is the power-on password setting option. The display power-on password function is generally not enabled by default. The user can enable the power-on password of the display by setting PSd-y. The factory default password of the display is 1212, customers can set other four-digit passwords by themselves, please remember the password after changing it, otherwise you will not be able to use the display.
Operation: First, short press the
button to enter the state of changing parameters. Then, short press the + or – button to select the parameter. Select PSd-y to turn on the power-on password, and PSd-n to turn off the power-on password. Finally, short press the
button to confirm, and enter the state of setting the four-digit power-on password. Alternatively, exit and return to the personalization selection interface.

Operation: When the password is set, the adjustable digit will flash. Short press the (f) or8 button to select the number, then short press the
button to save the number and enter the next number setting. After setting the four digits in turn, press and hold the
button to save and return to the personalized parameter setting item selection interface.
Pb. Automatic Shutdown Time Setting

- Pb is an option to set the auto power off time. In order to save the power of the vehicle and obtain a higher mileage, this display is equipped with an automatic shutdown function, and the automatic shutdown time range can be set from 1 to 60 minutes. 00 means no automatic shutdown.
- Generally speaking, the factory defaults to automatically shut down after 10 minutes.
- Operation: First, short press the
button to enter the state of changing parameters, and short press the + or – button to select parameters. - Then, short press the
button to save the parameter setting and return to the personalized parameter setting item selection interface.
Restore Factory Setting

- dEF is an option to restore factory default parameter settings. dEF-y means to restore the default parameters, dEF-n means no need to restore the default parameters.
- Operation: First, when the speed on the main interface is displayed as 0, press and hold the
button and + button for more than 2 seconds at the same time to enter the factory default parameter interface. - Then, select by short pressing the + or – button. If you choose y, short press the
button to confirm, the display will show dEF-0 for a while and automatically start to restore the factory default settings. It will exit automatically and return to the normal display interface after completion.
Trip Odometer Reset Operation

- The display can record single mileage and total mileage, and the single mileage will not be automatically reset after shutdown. If you want to clear a single mileage, you need to clear it manually.
- NOTE: The total mileage of the display does not support reset.
- Operation: When the speed of the main interface is 0, press the – button and the (D button simultaneously for more than 2 seconds. The main interface will flash once during the reset process.
CARE & MAINTENANCE FOR YOUR NEW E-BIKE
You should in general, take care of your e-bike the way you would with a regular bicycle by keeping it dry, clean and the moving parts well lubricated. You should also avoid parking your e-bike in exposed areas whenever possible. You should check the effectiveness of the brakes before each use.
For your e-bike, you should also take note of the following
- Your e-bike is designed for regular country road use for a single person. Using your e-bike for extreme maneuvers, such as extreme off-road use, jumping, or carrying the excessive load will damage the e-bike and could cause serious injury.
- Do not use high-pressure water streams to clean your e-bike, as water might seep inside the motor or the wiring compartment and cause rusting of electrical parts or short circuits.
- Avoid parking your e-bike outside when there is rain or snow. At the end of a trip where there was rain or snow, bring the e-bike inside and use a clean, dry towel to eliminate any wetness.
Special care for the battery and the charger
- Use only the supplied charger to charge your battery. Do not use an unauthorized substitute. If your charger is lost or damaged, contact your dealer to order a replacement.
- Do not open or alter the battery or the battery charger.
- Do not place the battery near fire or corrosive substances. Do not immerse in water or other liquids.
- Avoid subjecting the battery from high temperatures, such as directly under the hot sun, for prolonged periods of time.
- Do not connect (short circuit) the two poles of the battery.
- After much use, your battery’s charge holding capacity will decrease. If you find that your battery does not hold sufficient charge even for short trips, you should contact your dealer to order a replacement. Under normal use, the battery will undergo 1000 charging and discharging cycles.
- Your e-bike battery is engineered with precision for high capacity and long useful life. We do not recommend that you use it to power other electrical devices. Improper use of the battery will damage the battery and shorten its useful life and may cause a fire or an explosion.
For the battery, you should also take note of the following
- Keep the battery out of extreme temperatures.
- Operating temperature when charging: 32° -113° F.
- Operating temperature when discharging: -4° -113° F.
- Do not short circuit the discharge/charge terminals of the battery.
- Do not leave the battery charging overnight, or for long periods of time.
- To avoid damage to the battery, do not subject it to intense physical shock, severe vibration, or strong impacts.
- Do not expose the battery to water or other moisture. Protect the discharge/charge terminals from rain or water logging.
- Keep the battery away from children.
- When the battery is not in use for an extended period of time, remove the battery and store it safely.
- Do not disassemble the battery.
- If you have any questions about this battery or its usage, contact the Customer Service department.
ATTENTION: Customers who do not use the electric bike for more than half a month should note that if the electric bike is not used for a long time, the battery in the electric bike will be empty and cannot be charged. This is not a quality problem, but human damage. Therefore, it is not covered by the warranty.
CORRECT OPERATION
- If the electric bike is not used for a long time, the battery must be fully charged after the last use.
- After fully charged, remove the battery and store it in a cool dry place.
For the bike, you should also take note of the following
- It is recommended to check the following every one to two months
- Check that the handlebar and saddle post are correctly inserted and tightened.
- Check that the wheel hub mounting nuts are correctly tightened.
- Check that the wheel rims are not cracked and that no spokes are loose or broken.
- Check that the tires are not worn or cut.
- Check that the tires are correctly inflated.
- Check that the battery contacts on the frame are not dirty or oxidized.
- Check that the batteries are sufficiently charged.
- Check that the front and rear brakes are working correctly.
- Check that the cables are sufficiently greased, and that the brake pads are in good condition.
- Check that the frame welds are in good condition, and are free of corrosion or oxidation.
Before and after each ride, please follow these actions
- Check the alignment of the wheels.
- Check the charge status of the battery.
- Check whether the brake function is normal.
- Check the tires for any punctures.
- Store your bike carefully in a clean and dry place.
- Check that your stand is securely fastened.
- Check for loose cables or wires that may strain when turning the front wheel from the left to the rig.
Quarterly (or approximately every 750-1500 miles)
- Check out all items in the monthly service list above.
- Check tire tread for excessive wear. Replace if necessary.
- Check that electrical connectors and cable housings are clear of moving parts and not damaged. Replace if necessary.
- Visit your local bike store for an adjustment by a certified and reputable bike mechanic.
SAFETY TIPS
We Recommend The Following Safety-related Procedures
- Wear a helmet.
- Ride in control at all times.
- Use lights and reflective gear in low light situations.
- Inspect your bike often – especially the brakes.
- Seek maintenance if there are any notable changes in bike performance.
- Know and observe the rules of the road before cycling. Bike users must follow all road rules.
- Ride defensively. To motorists, pedestrians, or even other cyclists, you are not as visible as you might think. Always watch for hazardous situations, and be ready to stop or take evasive action at all times. With the assistance of the electric motor, you may be travelling faster than drivers expect-beware of cars pulling out in front of you.
- Avoid road hazards. Watch for and avoid potholes, drain grates, railroad tracks, loose road material, and other hazards.
- Use both the front and the rear brakes together for best performance. Using ONLY the rear will significantly increase your stopping distance.
E-Bike Road Safety
Always obey traffic laws including lights, signals, and road signs that apply to traditional cyclists, cars, and other vehicles. Stay in the appropriate lane, using bike lanes when available. Cyclists tend to break the speed limit and red light laws. This will only put you at risk of an accident. And this is a higher risk than for cyclists because your e-bike can travel faster than traditional bicycles. Do not cycle on the sidewalk/pavements as it can put both you and pedestrians at risk; Be wary of everyone. E-Bike company AXcess states (source) that cars will not always realize how fast you are going and may assume that you are exponentially slower than them. To avoid the risk of accidents, always allow cars to get their right of way first, and do not rush. Be patient and alert, especially at intersections and turns.
Maintenance of The Transmission System: Mainly Lubrication
The most effective way is to add lubricant. We should remind everyone that the chain should always be kept oily and sensitive, especially after wading and raining. The active parts of the front and rear derailleur must also be frequently filled with oil. The oil used for the chain and the derailleur should preferably be a rust-proof lubricant designed for bicycles. Ordinary engine oil can also be used, but the effect will be poor. If the chain is rusty, you can first wipe the rust spots with a kitchen cleaner, then clean the chain, and then wash it in diesel to restore the mountain bike chain as before.
Maintenance of The Braking System
The braking system is particularly important as it relates to the personal safety of travel. In addition to maintaining the sensitivity and reliability of various moving parts, the stroke clearance and wear of the brake pads must be checked frequently. Both sides of the travel gap of the brake pads should be kept within the range of 2-3 mm. If the clearance is too large, the free travel value of the brake pads will be increased, which will reduce the sensitivity of the brake. If the clearance is too small, the phenomenon of braking force may occur, increasing riding strength and wasting physical strength. Each brake pad has more than two grooves on its surface. If these grooves are to be ground or have been ground, they should be replaced in time to ensure the braking sensitivity and driving safety.
Guide to Cycling at Night
Use lights properly: Riding bicycle at night require lights on both the front and rear of the bike. For extra protection, wear a clip-on bike helmet light, or purchase a helmet with built-in LED lights. Light vests are easy-to-wear over clothing to allow drivers to see the cyclist from a greater distance and ensure that the vehicle will pass with enough clearance. Turn on any built-in lights setting out to ride. Circular red and orange reflectors in the spokes of a bike look pretty, but they serve an important purpose. The headlights of approaching cars strike the reflectors, coated with prisms and beads, and in turn, the prism reflections redirect back towards the driver-a small but mighty reminder that people are out and about enjoying a night bicycle ride. Be respectful of oncoming traffic.Don’t flood the road with wildly flashing strobe lights and avoid using lights so bright that they temporarily impair an oncoming driver’s vision. Whether the bike rider or another vehicle, flashes of bright light and a fraction of a second can cause a distraction worthy of an accident.
Derailleur
If shifting operation becomes less smooth. Clean the front derailleur and lubricate the link sctions shown in the illustration. If gear shifting operations cannot be carried out smoothly. Clean the derailleur and lubricate all moving parts. If the amount of loosenness in the links are so great, you should replace a derailleur.
Hardware
- All hardware should be torqued to the torque specified in the recommended torque values section of this manual.If any hardware has signs of damage take the bike to your local bike shop to have a certified and reputable bike mechanic inspect and replace them if deemed necessary.
Wheel
- Install the wheel according to the steps in the manual. Make sure all the fasteners are tightened, regularly check whether the fasteners can open and close normally or any loose. Check spoke tension and adjust it if necessary.
Tires
- Monthly(or about every 250-500 miles) Inflate tires to pressure within recommended range: 2Spsi in summer.30psiin winter. (Note: suitable for small or manual inflator)
Handlebar
- Before riding, please make sure that the handlebar is correctly installed in accordance with the video installation steps. Regularly check whether the handlebar firmware is stable. If there is any looseness, temporarily stop riding and install the installation steps to check and reinstall.
Seat
- Before riding the bicycle, check that there is a gap or looseness in the connection. Also, be sure to retighten the seat at periodic intervals. Use a neutral detergent to clean the crank arm and the bottom bracket. Using alkaline or acidic detergents may cause discoloration.
Reflector
Wipe and clean all the reflectors on the car regularly, and check whether the reflectors are working regularly to ensure that you can remind the vehicles behind you when you ride at night. At the same time, please wear reflective clothing at night to make you bright enough to ensure your riding safety.
Off-road Safety
Ride according to the actual situation and judge the road conditions. In rough or slippery road conditions, please get off and pass to prevent accidents. Adjust the bicycle to the appropriate gear to adapt to the road conditions. At the same time, please do not speed. Always wear a helmet when riding you re-bike. Ensure that the helmet fits your head and is securely tightened down. Only move up pedal-assist levels when you feel comfortable and you have ample experience riding the bike. The higher pedal assist levels will accelerate you to higher speeds more quickly. Take care when riding the bike at any speed. Failure to adhere to warnings and guidelines in this manual can lead to serious harm, injury or death. Damage sustained by the bike from failing to follow instructions, guidelines, and warnings in this manual is not covered under warranty. Do not lean on the bike when it is parked and the kickstand is in use. Doing so will put excess stress on the kickstand and this may cause it to fail. In turn causing harm or injury to the person leaning.
Brakes
Brake cables will stretch during the wear-in period. This may affect braking performance and the brakes may need to be adjusted and tensioned properly.Check your brake pads for signs of wear. Replace if necessary.Go to your local bike shop for a tune-up by a certified and reputable bike mechanic.
WARNING: the danger of damaging the stem-to-fork assembly and the risk of injury to the rider that can result from over tightening the stem bolt or other clamping device.

- Leg measurement is taken from the floor(no shoes) to your crotch. Stand with your legs roughly shoulder width apart against a wall, then take your inside leg measurement. It is probably easier to get someone to do this for you.

- The recommended leg length is not less than 29.92″.
BATTERY SAFETY
These safety precautions are provided for your benefit to protect you and those around you. Please read and follow them carefully to avoid unnecessary injury, damage to the product, or damage to other property.
Battery
CAUTION

- Do not throw the battery into a fire. Do not overheat the battery.
- Do not connect the battery to other appliances other than your battery.
- Use only the specified charger to charge the battery.

- Do not take apart or modify the battery.
- Do not connect positive and negative terminals by using metallic objects.
(Elcclrolyle leakage, overheating and/or rupture may result in this type of abuse.)
Battery Charger
CAUTION

- Do not take apart or modify the charger

- Do not subject the charger to shocks, e.g. by dropping, Keep the charger away from water
- Do not touch the charger with your skin for long periods during charging
- Buring of the skin may result, as external temperature of the charger during charging may become 40C-60C(104F- 140F)
Overheating, fire or electric shock may result
- Do not cover the charger or place objects on it
- Overheating, fire or electric shock may result
- Place the charger firmly on a flat dry surface
- Using the charger upside-down or stretching the cable tight may result in malfunction, fire or electric shock
- Do not short-circuit the terminals by using metallic objects
- Overheating, fire or electric shock may result
WARNING
- Keep the battery away from water. Pouring water on the battery may result in short-cicuit, overheating or permanent damage of the battery.
- Do not submerge the battery. Soaking the battery in water may cause irreparable damage.
- Do not apply pressure to the cable or the plug.
- Placing the cable tightened between a wall and window frame, or placing heavy objects on the cord or the plug may result in electric shock or fire.
- Be sure to insert the plug securely into a wall socket.
- Electric shock and overheating may result, causing fire.
- Do not touch the plug with wet hands.
- Electric shock may result.
- Keep out of reach of children or pets.
- Electric shock or injury may result.
- Do not attempt to use anther maker or model’s charger to charge the battery.
- Overheating, fire or electric shock may result.
- Do not use the charging plug and/or the power source
- Plug when they are dirty, wet or dusty test nity tester, due rig robsture absorbed in the
- Pull out the power source plug and clean it with a dry cloth.
- To remove a cable from a socket, pull the plug, not the cable. Always pull the charging cable gently.
- Do not rotate the pedals when charging the battery while it is mounted on the bicycle.
- The cord may twist around the pedal or the crank,and the damage to the plug may result. causing electric shock or fire.
- Do not apply voltage over the rated value to the charger,
- Do not use sockets, correctors and other wiring devices with a power source other than standard rated voltage (AC110-240 volts) power supply.
- Overheating, fire or electric shock may result.
- Do not use damaged components such as charge case, power cord, plug etc.
- Electric short „short-circuit or fire may result.
SPECIFICATIONS

NOTE: The component brands advertised on our website may vary depending on the supply chain in the e-bike market. Component changes may occur without notice. All components are carefully inspected to ensure they meet the advertised performance standards.
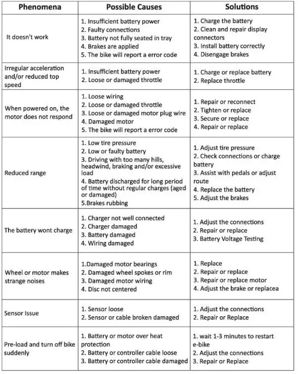
GENERAL TROUBLESHOOTING
As one or more causes of failure might lead to the failure phenomenon, you should find out the true cause(s) and then take the appropriate solution(s) to rectify the problem. In case of doubt, please consult a qualified technician for service, repairs or maintenance.

ERROR CODES & TROUBLESHOOTING
In the event of a problem with the electrical components of your bike, the display will show an error code.
Compare the code with this list below and HOW TO RESOLVE:

WARRANTY
Every ANIIOKI E-bike is covered under our manufacturer’s one year all-inclusive warranty for the original owner against all manufacturing defects.
NOTE: The warranty applies only to original owners and is not transferable.
What About Warranty On ANIIOKI?
Parts covered by the warranty: frame, forks, stem, handlebars, headset, seat post, saddle, brakes (excluding brake pads), lights, bottom bracket, crank set, pedals, rims, wheel hub, freewheel, cassette, derailleur, shifter, motor, throttle, controller, wiring harness, LCD display (excluding damage due to water), kickstand, reflectors, and hardware. The battery warranty does not include damage from power surges, use an improper charger, improper maintenance or other such misuse, normal wear, or water damage. The warranty does not cover an incorrect assembly or installation of the product by the user, an improper or negligent use, operation or transformation of the product, a maintenance contrary to the maintenance instructions of the product (e.g. lack of maintenance of the brakes), normal wear and tear, defects inherent to the normal useful life or service life of the product, such as a flat battery that can be replaced by the consumer, damages or defects due to accidents.
NOTE: Failure caused by the following cases are not included in the warranty contents. However, the designated store or sales dealer has the responsibility and obligation to provide paid repair service:
- The battery cannot be charged caused by the electric bike has not been used for more than half a month and the batt:ery has not been removed.
- Without invoice and the warranty.
- Using and maintaining without complying with the user’s manual.
- Using the electrical bicycle for other purposes or dangerous acts.
- Dismantling the parts without permission or improperly use and storage.
- Without using the original parts.
- Traffic accidents or other accidents.
- Anti-rust layer damage caused by abnormal use, which leads to the corrosion and fracture of the parts.
- Riding on the abnormal road conditions.
- Commercial rental use and irresistible natural disasters.
Shipping Damage Claims
- IMMEDIATELY inspect your product(s) for damage. Shipping damage must be reported to ANIIOKI Ebikes within 48 HOURS of shipment arrival. We will not accept Shipping Damage Claims later than 48 HOURS from receipt of products.
What Will We Do To Correct Problems With Your Bike?
- If any component is deemed to be defective or damaged without user error, we will issue a replacement part and assist you in replacing the defective parts. We will replace any parts deemed to have been damaged during shipping.
Contact Us
If your question has to do with your order, please provide your order ID and bike serial number with us. Order ID: You can find this in the order history of the account the purchase was made through. Bike serial numbers: Each bike has serial numbers. Please contact our service department at the below email and attach any relevant videos or photos showing your issue so the specialists can better assist you. Please attention that ANIIOKI electric bike has several sales channels now. Each sales channel has its order list and covers its own after service, including the warranty service, return service, and so on. Please choose the right one to get connected. If you’ve already submitted an inquiry, be assured that we are working diligently to respond (within 24 hours in working days).
- ANIIOKI Ebike Website: www.aniioki.com
- Website Service Mail: [email protected]
- Amazon Service Mail: [email protected]
- Phone: (909)296-9922
NOTE: If for some reason you didn’t receive our reply email within 48 hours, please kindly check your spam folder. Thank you for your understanding.

























